Trend Logo

Baurechtsgrundstück mit Baugenehmigung - Bauen Sie Ihr Eigenheim in Langenzersdorf

2103 Langenzersdorf / Niederösterreich
708 m2
Grundfläche
€ 150.000,00
Kaufpreis

Beschreibung

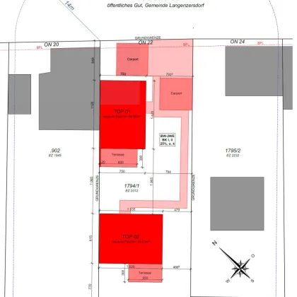
Der Baurechtsgrund hat eine Größe von 708 m² und es gibt bereits eine

Baugenehmigung für zwei Einfamilienhäuser. Man kann daher am Grundstück

entweder ein oder wie vorgesehen zwei Einfamilienhäuser errichten.

Pro Bauparzelle KP € 150.000,--, daher sollten Sie das gesamte Grundstück

erwerben wollen wäre der KP € 300.000,--.

Der Baurechtszins wäre € 791,--/Mtl pro Bauparzelle und läuft 97 Jahre

also bis 31.01.2120.

Haus 1/Top 1 - EG + OG + DG:

152,91 m² Wfl + Terr 1 18 m² + Terr 2 24,54 m² + Garten 1 119,71 m² + 

Garten 2 18,37 m² + 2 PKW-Stellplatz.

Haus 2/Top 2 - EG + OG + DG:

147,06 m² + Terr 1 16,50 m² + Terr 2 29,16 m² + Garten 183,64 m² +

2 PKW-Stellplätze.

Das Grundstück liegt in einer perfekten ruhigen Wohnlage.

Tolle Anbindung nach Wien sowohl mit öffentlichen Verkehrsmittel, als auch

einen Zubringer zur Autobahn.

In der nähe befinden sich Einkaufsmöglichkeiten, Schulen, Kindergärten,

Lokale, Ärzte, Golfplatz usw.

Für nähere Informationen steht Ihnen Herr Stubenvoll gerne unter 0664/30 88 940

zur Verfügung.

Lagebeschreibung

Dieses Grundstück befindet sich in Langenzersdorf, einer Kleinstadt in Niederösterreich. Der Baugrund ist in einer ruhigen Wohngegend in der Alleestraße gelegen und bietet eine sehr gute Anbindung nach Wien. Sowohl mit öffentlichen Verkehrsmittel, als auch Zubringer zur Autobahn. In der Umgebung gibt es verschiedene Annehmlichkeiten wie Schulen, Kindergärten, Einkaufsmöglichkeiten, Heurigen, Golfplatz usw..

In der Umgebung
Bus
< 1km
Straßenbahn
< 3km
Bahnhof
< 1km
Autobahnanschluss
< 3km
Arzt
< 1km
Apotheke
< 1km
Krankenhaus
< 3km
Supermarkt
< 1km
Bäckerei
< 1km
Einkaufszentrum
< 3km
Schule
< 1km
Kindergarten
< 1km
Universität
< 3km
Bank
< 1km
Bankomat
< 1km
Post
< 1km
Polizei
< 1km
Quelle: OpenStreetMap / Entfernungsangaben Luftlinie

Anbieter kontaktieren

Letzte Änderung: 26.08.2025, 10:29:04 Uhr; Referenz-Nummer: 6115/3334767